狗狗身上容易长什么虫,狗狗身上都会长什么虫子?
本文摘要: 大家好,关于狗狗身上容易长什么虫很多朋友都还不太明白,今天小编就来为大家分享关于狗狗身上都会长什么虫子的知识,希望对各位有所帮助!狗狗身上容易出现哪种虫子〖One〗、跳蚤:它是狗狗身上最常见的体外寄生虫之一。传染性较强会导致狗狗的瘙痒甚至过敏,如果得不到控制,还有可能引发急性湿疹皮炎,使患部化脓...
大家好,关于狗狗身上容易长什么虫很多朋友都还不太明白,今天小编就来为大家分享关于狗狗身上都会长什么虫子的知识,希望对各位有所帮助!
狗狗身上容易出现哪种虫子
〖One〗、跳蚤:它是狗狗身上最常见的体外寄生虫之一。传染性较强会导致狗狗的瘙痒甚至过敏,如果得不到控制,还有可能引发急性湿疹皮炎,使患部化脓。主人也需要给狗狗进行定期的体外驱虫。通常是从含杂草环境中感染的跳蚤,主人要减少带狗狗去草地的频率和增加家里清洁。
〖Two〗、犬绦虫是一种寄生虫,可以生活在狗狗的肠道内。成虫体长不到10厘米,身体细长,像一条白色的细线。而犬绦虫的卵会随着宿主的粪便排出体外,被其他宿主误食,从而继续生存和寄生。狗狗感染犬绦虫的主要原因是因为食用感染虫卵的食物、饮水或者接触其他感染的宠物等。
〖Three〗、狗狗身上容易出现的虫子主要有疥螨、蠕形螨以及耳螨。疥螨:疥螨常寄生于狗狗皮肤较柔软嫩薄之处,如鼻梁、颊部、耳根及腋间等,随后可能扩散至全身。它们以角质组织和淋巴液为食,会在宿主表皮角质层的深处挖掘隧道。疥螨病一般幼犬症状较为严重,会引起剧烈的瘙痒和皮肤炎症。
〖Four〗、狗身上可能携带寄生虫,例如跳蚤、螨虫等,这些寄生虫可能会在宠物身上寄生并引起虫害。但如果这些寄生虫是屋内出现虫子的唯一来源,那么它们应该被归为宠物寄生虫。 狗粮存放不当,可能会导致蛀虫和蟑螂等害虫的滋生。 狗的排泄物如果没有及时清理,可能会引起苍蝇、蚂蚁等虫子的滋生。
〖Five〗、狗狗身上的虫子主要包括蛔虫、钩虫、绦虫、蜱虫、跳蚤和虱子等。蛔虫是狗狗体内常见的寄生虫之一,主要寄生在狗狗的小肠内。感染蛔虫的狗狗可能会出现不思饮食、体型消瘦、发育迟缓、腹泻或便秘等症状。钩虫也是狗狗体内常见的寄生虫,它们通过吸附在狗狗的小肠壁上吸血为生。

狗身上有小黑虫那是什么东西啊
狗狗身上的小黑虫可能是体外寄生虫:跳蚤:它是狗狗身上最常见的体外寄生虫之一。传染性较强会导致狗狗的瘙痒甚至过敏,如果得不到控制,还有可能引发急性湿疹皮炎,使患部化脓。主人也需要给狗狗进行定期的体外驱虫。通常是从含杂草环境中感染的跳蚤,主人要减少带狗狗去草地的频率和增加家里清洁。
狗狗身上有黑色的虫子一般考虑跳蚤或虱子感染,并且这类虫体还会排出黑色的大便,并附着在狗狗的毛发上。
狗身上黑色的小虫一般是跳蚤。去掉狗身上跳蚤的比较好方法就是经常洗澡。
狗狗身上的黑色小虫子很可能是寄生虫,特别是蜱虫。以下是相关处理建议和预防措施:处理建议: 安全移除:在发现虫子时,应尽快且安全地将其从狗狗身上移除。移除时要小心,避免虫子的口器或其他部分残留在狗狗的皮肤上。
夏天狗狗身上长黑色的会飞的小虫虫可能是虱子、跳蚤或蜱虫等体外寄生虫。这些小虫虫会在狗狗的毛发中产卵,卵呈黑色的小颗粒状。为了防止这些体外寄生虫对狗狗的健康造成危害,建议立即给狗狗进行体外驱虫处理。可以到宠物医院购买含有非泼罗尼、甲氧普烯等成分的驱虫药物,按照说明书的要求进行用药治疗。

狗狗身上长八角虫,怎么处理?
〖One〗、仔细检查狗狗的皮肤,找出所有八角虫。可以使用宠物专用的虱敌驱杀,这种药物对虱子、跳蚤、蜱虫都有杀灭作用。 不要直接拔掉八角虫,因为这可能会导致八角虫的头部留在狗狗皮肤里,引起更严重的感染。建议使用专业的驱虫药物,如犬虫净,喷在八角虫上,这可以有效地杀死八角虫并避免伤害狗狗的皮肤。
〖Two〗、狗狗已经感染体表寄生虫,可以用宠物专用的虱敌驱杀,对虱子、跳蚤、蜱虫这些体外寄生虫都有杀灭作用。
〖Three〗、不是螨虫,是牛俾,千万别去硬抓,否则狗狗皮肤都会被抓下来的。去买俾消灵之类 的除虫,或者去动物医院。还可以用酒精麻痹虫子再抓下来,但就怕抓不干净。
〖Four〗、●防虫 由于蜱虫主要栖息在草地、树林中,因此外出游玩时比较好在暴露的皮肤上喷涂驱蚊液,尽量避免在野外长时间坐卧。注意做好个人防护,穿紧口、浅色、光滑的长袖衣服。蜱虫常会附着在人体的头皮、腰部、腋窝、腹股沟及脚踝下方等部位。

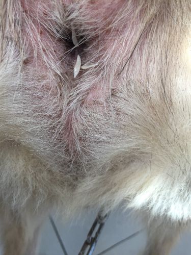
我家狗狗一睡觉就有白色小肉虫从屁屁里爬出来,请问是什么虫?
根据描述,你家狗狗可能感染了犬绦虫。犬绦虫是一种寄生虫,可以生活在狗狗的肠道内。成虫体长不到10厘米,身体细长,像一条白色的细线。而犬绦虫的卵会随着宿主的粪便排出体外,被其他宿主误食,从而继续生存和寄生。狗狗感染犬绦虫的主要原因是因为食用感染虫卵的食物、饮水或者接触其他感染的宠物等。
根据您的描述,可能是您家狗狗患上了蛔虫(寄生虫)感染。蛔虫是一种寄生在动物肠道内的寄生虫,会通过摄入感染源(如饮用水或食物)进入动物体内。感染后,蛔虫会在狗狗消化系统中生长、繁殖。为了确诊,建议您带狗狗去宠物医院进行检查。兽医会通过观察狗狗的粪便样本来确定是否存在蛔虫感染。
试试吃拜耳驱虫。还有每个月都给他滴一次福来恩体外驱虫。
要知道跳蚤是自然界的跳远冠军,在狗狗们互相闻来闻去的过程,跳蚤很有可能从流浪狗或是猫的鼻子跳到你家狗狗的屁屁上,或是从它们的屁屁上跳到你家狗狗鼻子上。在狗狗外出时,在狗狗与地面接触的四肢或是与其它狗有可能接触的屁屁上喷上点类似福来恩的驱虫喷剂也是一个办法。

狗狗身上怎么这么多蜱虫?
狗狗身上有很多蜱虫的原因可能有以下几个:狗狗经常出入草丛或者灌木丛,这些地方是蜱虫的常见栖息地。蜱虫是寄生虫,它们会借助狗狗的身体滋养自己。当狗狗毛发较长、厚密时,蜱虫更容易藏匿其中。蜱虫在狗狗身上寻找温暖的地方,以吸食血液为生。狗狗的腋下、耳朵、腹股沟等部位是蜱虫常见的寄生区域。
狗狗身上有蜱虫的原因通常是因为狗狗接触了已经感染蜱虫的其他动物或者蜱虫的卵。狗狗通常是在户外活动时会接触到蜱虫,比如在草地上玩耍或在果树下面睡觉。蜱虫也可以通过空气传播,所以狗狗可能会在室内感染蜱虫。蜱虫是一种寄生虫,它们通常会在狗狗的皮肤下面建立巢穴,并从狗狗的血液中吸取营养。
狗狗身上有蜱虫的原因如下:蜱虫主要生存在草丛里,清晨和傍晚有露水的时候活动性能比较强烈,所以狗狗很有可能是在遛狗的期间去扑了草丛,在草丛里玩耍被蜱虫附着在身上的。蜱虫一旦附着在身上是不易被甩掉的,因为它的口器是嵌在肉里面的。

狗狗身上的红色虫子是什么东西
狗狗身上有红色的小虫子可能是蜱虫或虱子,都是体表的寄生虫。也可能是扁虱,一般寄生在狗狗和猫猫身上,以吸血为生。这种小虫如果人抓到,一掐就是一滩血,而且传染性很强。当狗狗感染蜱虫后会出现皮肤瘙痒、烦躁不安,通常以摩擦、抓挠来试图摆脱蜱虫。狗狗驱虫分为内驱虫和外驱虫。首先,驱虫时间的安排。
狗狗身上的红色虫子可能是蜱虫、虱子或扁虱。蜱虫:是狗狗体表常见的寄生虫之一,以吸血为生。感染蜱虫后,狗狗可能会出现皮肤瘙痒、烦躁不安的症状,并试图通过摩擦、抓挠来摆脱蜱虫。虱子:也是狗狗体表的一种寄生虫,同样会引起狗狗的不适和瘙痒。扁虱:一般寄生在狗狗和猫猫身上,同样以吸血为生。
狗狗身上的红色虫子可能是蜱虫、虱子或扁虱。蜱虫:蜱虫是狗狗身上常见的一种体表寄生虫,它们以吸血为生,可能会给狗狗带来严重的健康问题。当狗狗感染蜱虫后,会出现皮肤瘙痒、烦躁不安的症状,狗狗可能会通过摩擦、抓挠来试图摆脱蜱虫。此外,蜱虫还可能传播各种疾病,对狗狗的健康构成威胁。
狗狗身上有红色的小虫子,很可能是螨虫,以下是一些处理建议:确认虫子类型:狗狗身上的红色小虫子很可能是螨虫。螨虫是一种微小的昆虫,它们常常在宠物的毛发和皮肤上寄生。处理螨虫:清洁狗狗:首先,用温水和宠物专用的洗浴产品给狗狗洗澡,以去除身上的螨虫和污垢。确保洗澡时彻底清洁狗狗的毛发和皮肤。
狗狗身上的红色小虫子是蜱。这种虫子具有以下特征:形态扁平:蜱虫的身体很扁,不会跳跃。颜色变化:吸血前,蜱虫的身体呈淡黄色;吸血后,它会变成血红色。非跳蚤:虽然蜱虫和跳蚤都是狗狗身上的常见寄生虫,但它们的形态和行为有所不同。跳蚤会跳跃,而蜱虫则不会。
狗狗身上有血虫子,主要是因为狗狗感染了体外寄生虫,其中最常见的是蜱虫、跳蚤和虱子。蜱虫是狗狗身上常见的吸血寄生虫之一。它们体型小巧,能够附着在狗狗的毛发上,将口器深深扎入狗狗的皮肤内吸血。蜱虫不仅会引起狗狗的瘙痒和不适,还可能传播各种疾病,如巴贝斯虫病等。

在小狗身上发现白色米粒大小的虫子,有的稍小,是什么东西?怎么办?_百度...
〖One〗、跳蚤:跳蚤通常是白色或棕色的虫子,它们寄生在狗的皮肤上,并以狗狗的血液为食。跳蚤可能会导致狗狗出现瘙痒、皮肤炎症等症状。你可以使用跳蚤药水或跳蚤项圈来治疗跳蚤感染,同时给狗狗洗澡以去除跳蚤。 虱子:虱子通常是白色或灰色的虫子,它们寄生在狗的皮肤上,并以狗狗的血液为食。
〖Two〗、狗狗屁股有白色虫子可能是绦虫或蛔虫。绦虫:若是米白色、呈米粒样大小且扁平状的虫子,很可能是绦虫。针对绦虫,建议使用吡喹酮片进行驱杀,并在一周后再次进行复驱,以确保彻底清除。蛔虫:若是长条形、两端稍尖且为黄白色的虫子,则很可能是蛔虫。
〖Three〗、如果狗狗已经感染犬绦虫,应及时进行治疗,常见的治疗方式为口服驱虫药物。同时,也要让狗狗远离其他动物,避免感染其他虫类。在治疗期间,家长们需要养成好的卫生习惯,定期清除狗狗粪便,并使用消毒剂进行消毒。
〖Four〗、小狗吃生肉或者身上有跳蚤时容易感染绦虫,因为生肉和跳蚤体内含有绦虫的包囊,被猫狗吃下后会在体内发育成绦虫。绦虫成熟后会从身上掉下节片,每个节片里含有5000个左右的虫卵,这就是你看到的白色会蠕动的小虫子。
〖Five〗、可能是虱子或是跳子,要经常给狗狗洗澡,有卖管虱子和跳子药的。是面粉的那种,往小狗身上撒。要撒到狗的皮肤上,用几次之后给小狗洗澡,还要把小狗用的东西进行清理。有专卖狗狗洗澡用品。看看有没有地方坏了一小块一小块的红色的,坏的地方没有狗毛,去药店买点肤轻松软膏,非常好用。
OK,关于狗狗身上容易长什么虫和狗狗身上都会长什么虫子的内容到此结束了,希望对大家有所帮助。



还没有评论,来说两句吧...