猫咪脖子上有疙瘩结痂,猫脖子上有疙瘩结痂怎么回事?
本文摘要: 其实猫咪脖子上有疙瘩结痂的问题并不复杂,但是又很多的朋友都不太了解猫脖子上有疙瘩结痂怎么回事,因此呢,今天小编就来为大家分享猫咪脖子上有疙瘩结痂的一些知识,希望可以帮助到大家,下面我们一起来看看这个问题的分析吧!猫脖子上有像结痂一样的疙瘩,是怎么回事?〖One〗、猫脖子上出现结痂一样的疙瘩可能由...
其实猫咪脖子上有疙瘩结痂的问题并不复杂,但是又很多的朋友都不太了解猫脖子上有疙瘩结痂怎么回事,因此呢,今天小编就来为大家分享猫咪脖子上有疙瘩结痂的一些知识,希望可以帮助到大家,下面我们一起来看看这个问题的分析吧!
猫脖子上有像结痂一样的疙瘩,是怎么回事?
〖One〗、猫脖子上出现结痂一样的疙瘩可能由多种原因引起,以下是几种常见的情况及其相应的处理方式:猫癣感染:这是一种由真菌引起的皮肤感染,常见症状包括红斑、鳞屑和瘙痒。感染区域的皮肤可能会因为猫咪频繁抓挠而增厚,形成疙瘩。治疗猫癣通常需要使用抗真菌药膏,如克霉唑乳膏或特比萘芬软膏,按照兽医的指导进行局部涂抹。
〖Two〗、猫脖子有疙瘩结痂一样,可以先考虑使用体外驱虫药和杀菌消炎药物。以下是具体的处理方法和建议:检查寄生虫:首先,需要仔细检查猫咪身上是否有寄生虫,特别是跳蚤、蜱虫等。这些寄生虫可能会引起皮肤炎症,导致疙瘩和结痂。使用体外驱虫药:如果发现寄生虫,应立即使用适合猫咪的体外驱虫药。
〖Three〗、猫咪打针后脖子上有疙瘩结痂,可能是由于药物吸收不良或注射部位错误所导致。药物吸收不良:这是较为常见的原因之一。当药物注射后,猫咪的身体未能完全吸收,可能会在注射部位形成疙瘩或结痂。此时,建议使用热毛巾对患处进行热敷,以促进血液循环和药物吸收。
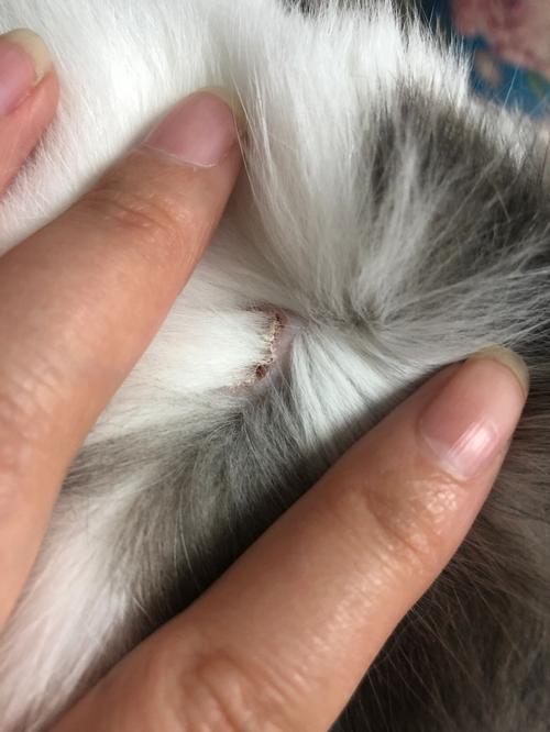
〖Four〗、猫脖子出现疙瘩结痂多为皮肤问题引发,常见于寄生虫叮咬、真菌感染或外伤化脓。需要根据结痂形态和伴随症状判断具体成因,通过清洁消毒、药物治疗等对应处理,同时排查过敏源或潜在疾病。

猫咪脖子上有疙瘩结痂
〖One〗、猫脖子上出现结痂一样的疙瘩可能由多种原因引起,以下是几种常见的情况及其相应的处理方式:猫癣感染:这是一种由真菌引起的皮肤感染,常见症状包括红斑、鳞屑和瘙痒。感染区域的皮肤可能会因为猫咪频繁抓挠而增厚,形成疙瘩。治疗猫癣通常需要使用抗真菌药膏,如克霉唑乳膏或特比萘芬软膏,按照兽医的指导进行局部涂抹。
〖Two〗、猫脖子有疙瘩结痂一样,可以先考虑使用体外驱虫药和杀菌消炎药物。以下是具体的处理方法和建议:检查寄生虫:首先,需要仔细检查猫咪身上是否有寄生虫,特别是跳蚤、蜱虫等。这些寄生虫可能会引起皮肤炎症,导致疙瘩和结痂。使用体外驱虫药:如果发现寄生虫,应立即使用适合猫咪的体外驱虫药。
〖Three〗、猫咪打针后脖子上有疙瘩结痂,可能是由于药物吸收不良或注射部位错误所导致。药物吸收不良:这是较为常见的原因之一。当药物注射后,猫咪的身体未能完全吸收,可能会在注射部位形成疙瘩或结痂。此时,建议使用热毛巾对患处进行热敷,以促进血液循环和药物吸收。
〖Four〗、猫脖子出现疙瘩结痂多为皮肤问题引发,常见于寄生虫叮咬、真菌感染或外伤化脓。需要根据结痂形态和伴随症状判断具体成因,通过清洁消毒、药物治疗等对应处理,同时排查过敏源或潜在疾病。
〖Five〗、这种情况常见于药物吸收不良或注射部位错误导致。如果是由于药物吸收不良引起的,建议使用热毛巾对患处进行热敷,一般一周左右就会恢复。但如果是注射错部位导致,可能导致该处组织坏死或结节,建议及时去医院检查。另外脖子处注射药物后,有的猫咪甚至会出现掉毛后不长毛的情况,这是由于毛囊损坏导致。

猫咪打针后脖子上有疙瘩结痂怎么办
〖One〗、猫咪打针后脖子上有疙瘩结痂,可能是由于药物吸收不良或注射部位错误所导致。药物吸收不良:这是较为常见的原因之一。当药物注射后,猫咪的身体未能完全吸收,可能会在注射部位形成疙瘩或结痂。此时,建议使用热毛巾对患处进行热敷,以促进血液循环和药物吸收。一般情况下,经过一周左右的热敷处理,症状会有所缓解。
〖Two〗、这种情况常见于药物吸收不良或注射部位错误导致。如果是由于药物吸收不良引起的,建议使用热毛巾对患处进行热敷,一般一周左右就会恢复。但如果是注射错部位导致,可能导致该处组织坏死或结节,建议及时去医院检查。另外脖子处注射药物后,有的猫咪甚至会出现掉毛后不长毛的情况,这是由于毛囊损坏导致。
〖Three〗、猫咪打针后脖子上有疙瘩结痂 这种情况常见于药物吸收不良或注射部位错误导致。如果是由于药物吸收不良引起的,建议使用热毛巾对患处进行热敷,一般一周左右就会恢复。但如果是注射错部位导致,可能导致该处组织坏死或结节,建议及时去医院检查。
〖Four〗、打针后留下的痕迹:如果猫咪身上只有脖子处有结痂,且猫咪近期有接受过疫苗接种或治疗注射,那么这个结痂可能是猫咪在打针后挠抓留下的。这种情况下,主人可以观察一段时间,看结痂是否会自行脱落,同时注意猫咪是否有其他不适症状。如果结痂长时间不脱落或猫咪出现其他异常,也应及时就医。

猫脖子上有结痂是什么原因
猫脖子上出现结痂通常由皮肤病、寄生虫感染或外伤引发,需要根据结痂形态和其他伴随症状判断具体病因。常见病因包括跳蚤叮咬过敏、螨虫感染、细菌性皮炎、真菌感染以及猫咪过度抓挠导致的皮肤破损。处理时需先消除病原体,再配合局部消炎和促进愈合。
原因:猫咪的脖子可能因受伤而导致毛发脱落和结痂。处理方法:需要处理伤口,帮助伤口愈合。伤口恢复后,毛发会重新长出。总结:猫咪脖子上掉毛且有结痂的情况,可能由真菌感染、细菌感染或脖子受伤引起。建议根据具体情况采取相应的治疗措施,并注意观察猫咪的恢复情况。如症状持续或加重,请及时就医。
猫脖子上出现结痂一样的疙瘩可能由多种原因引起,以下是几种常见的情况及其相应的处理方式:猫癣感染:这是一种由真菌引起的皮肤感染,常见症状包括红斑、鳞屑和瘙痒。感染区域的皮肤可能会因为猫咪频繁抓挠而增厚,形成疙瘩。
猫脖子出现疙瘩结痂多为皮肤问题引发,常见于寄生虫叮咬、真菌感染或外伤化脓。需要根据结痂形态和伴随症状判断具体成因,通过清洁消毒、药物治疗等对应处理,同时排查过敏源或潜在疾病。
猫脖子有疙瘩结痂一样,可以先考虑使用体外驱虫药和杀菌消炎药物。以下是具体的处理方法和建议:检查寄生虫:首先,需要仔细检查猫咪身上是否有寄生虫,特别是跳蚤、蜱虫等。这些寄生虫可能会引起皮肤炎症,导致疙瘩和结痂。使用体外驱虫药:如果发现寄生虫,应立即使用适合猫咪的体外驱虫药。
猫脖子上有结痂一样的东西可能是外伤导致的结痂或是皮肤病引起的症状。 外伤导致的结痂: 当猫咪脖子受到外伤,如抓伤、咬伤或其他物理伤害后,伤口在愈合过程中会形成结痂。这种情况下,建议主人定期给猫的伤口进行消毒,保持伤口清洁干燥,以免伤口出现化脓感染。

猫咪脖子上长了一堆红色硬硬的疙瘩是怎么了?
过敏反应 食物/环境过敏:可能对食物、跳蚤叮咬、粉尘或化学物质(如新换的洗浴用品)过敏。症状:红色丘疹、瘙痒(猫咪频繁抓挠)、局部脱毛。 细菌或真菌感染 脓皮症/癣菌病:细菌感染(如葡萄球菌)或真菌(如猫癣)可能导致红肿、结痂。特征:疙瘩可能伴随脓液、皮屑或扩散到其他部位。
猫咪脖子上出现小疙瘩可能是由以下几种原因引起的: 寄生虫感染:猫咪可能感染了跳蚤、虱子或其他寄生虫,这些寄生虫引起的皮肤刺激和感染可能导致疙瘩的形成。 淋巴结肿大:猫咪的淋巴结可能会因为感染、炎症或其他疾病而肿大,这种情况下的疙瘩通常质地较硬,可能不伴随疼痛。
猫咪脖子上有硬块可能是出现皮肤病,可导致局部出现硬块,例如感染细菌或者真菌,都可能会导致局部的皮肤比较粗糙,触摸时感觉像有硬块。发现之后要及时治疗,应该先把猫咪隔离起来,然后把它用过的东西都进行消毒。

猫咪打针后脖子上有疙瘩结痂
〖One〗、猫咪打针后脖子上有疙瘩结痂,可能是由于药物吸收不良或注射部位错误所导致。药物吸收不良:这是较为常见的原因之一。当药物注射后,猫咪的身体未能完全吸收,可能会在注射部位形成疙瘩或结痂。此时,建议使用热毛巾对患处进行热敷,以促进血液循环和药物吸收。一般情况下,经过一周左右的热敷处理,症状会有所缓解。
〖Two〗、猫咪打针后脖子上有疙瘩结痂 这种情况常见于药物吸收不良或注射部位错误导致。如果是由于药物吸收不良引起的,建议使用热毛巾对患处进行热敷,一般一周左右就会恢复。但如果是注射错部位导致,可能导致该处组织坏死或结节,建议及时去医院检查。
〖Three〗、这种情况常见于药物吸收不良或注射部位错误导致。如果是由于药物吸收不良引起的,建议使用热毛巾对患处进行热敷,一般一周左右就会恢复。但如果是注射错部位导致,可能导致该处组织坏死或结节,建议及时去医院检查。另外脖子处注射药物后,有的猫咪甚至会出现掉毛后不长毛的情况,这是由于毛囊损坏导致。
〖Four〗、猫咪脖子上的疙瘩结痂可能是皮肤病或打针后留下的痕迹。皮肤病:如果猫咪身上其他地方也有类似的结痂,那么很可能是皮肤病引起的。皮肤病在猫咪中较为常见,可能由多种原因造成,如真菌感染、细菌感染或寄生虫感染等。为了准确诊断和治疗,建议主人将猫咪带往宠物医院进行专业的检查。
〖Five〗、猫咪的脖子出现疙瘩结痂,主人可以再翻看一下猫咪身上的其他地方是否也有类似的结痂。如果有,主人就需要注意了,这有可能是猫咪患上了皮肤病而引起的。具体的情况以及确诊需要主人把猫咪带往宠物医院进行专业的检查,如果猫咪身上其他地方没有,那这个结痂可能是猫咪在打针后挠后留下的。
〖Six〗、打针导致的肿包一般出现在针剂注射后24小时内。可能是注射药品没被吸收或是吸收过慢,可以使用热毛巾进行热敷。超过2天可以去医院寻求医生检查帮助。外伤所致 外伤导致的脖子处皮肤组织感染而形成的积液,需要及时进行处理。如果已经结痂则不必太过担心,正常进行消毒即可。

猫脖子有疙瘩结痂一样用什么药
〖One〗、猫脖子有疙瘩结痂一样,可以先考虑使用体外驱虫药和杀菌消炎药物。以下是具体的处理方法和建议:检查寄生虫:首先,需要仔细检查猫咪身上是否有寄生虫,特别是跳蚤、蜱虫等。这些寄生虫可能会引起皮肤炎症,导致疙瘩和结痂。使用体外驱虫药:如果发现寄生虫,应立即使用适合猫咪的体外驱虫药。这些药物可以有效杀死或驱除寄生虫,减轻猫咪的皮肤不适。
〖Two〗、寄生虫感染:某些寄生虫如跳蚤、螨虫等也可能导致猫咪皮肤出现异常肿块。这些肿块可能伴有瘙痒,导致猫咪频繁抓挠。治疗这类问题通常需要使用驱虫药物,例如吡喹酮片进行体内驱虫。同时,保持猫咪生活环境的清洁也很重要。接触性皮炎:这是一种由过敏原引起的皮肤炎症反应,可能表现为红斑、水肿和疙瘩。
〖Three〗、用药建议:可以先外用外伤消炎的药,如红霉素软膏或百多邦软膏,观察是否有效果。若无效,疙瘩未变小,则需到医院进行穿刺诊断。皮肤病:如果脖子后面出现结痂一样的病灶,并伴有局部脱毛、皮屑和皮肤红肿,可能是皮肤病。用药建议:真菌感染:使用抗真菌外用药,如酮康唑乳膏,并可配合口服抗真菌药。
〖Four〗、清除病灶周围的毛发,并保持患处清洁。使用铭瑞宁等专用药物,每天涂抹两次,通常需要坚持1至3周才能看到改善。 仔细观察猫咪身上长藓的部位,将病灶上的毛发全部剃除。清洁患处皮肤,去除硬痂和皮屑,然后使用温水轻轻清洗,最后涂抹消炎药物。
〖Five〗、皮肤瘙痒引起的结痂:如果猫咪是因为皮肤瘙痒而挠破脖子引起的结痂,需要处理好猫咪的外伤。可以在猫咪的伤口上涂抹抑菌消炎的喷剂,并戴上伊丽莎白圈以防止猫咪再次挠伤。细菌性皮肤病:如果猫咪还伴有细菌性皮肤病的症状,如红肿、发炎等,需要在兽医的指导下使用口服消炎药配合治疗。
〖Six〗、如果疙瘩非常的硬,或者猫猫的由硬变软,则可能是皮下脓肿,可以先外用一下外伤消炎的药,如果没有效果,疙瘩自然没有变小,就可能要到医院穿刺诊断。脖子后面出现结痂一样的病灶观察是否有局部脱毛的现象,如果有呈斑块状的脱毛,还有皮屑和皮肤红肿的现象,说明是有皮肤病。
END,本文到此结束,如果可以帮助到大家,还望关注本站哦!



还没有评论,来说两句吧...